DCIM100GOPRO
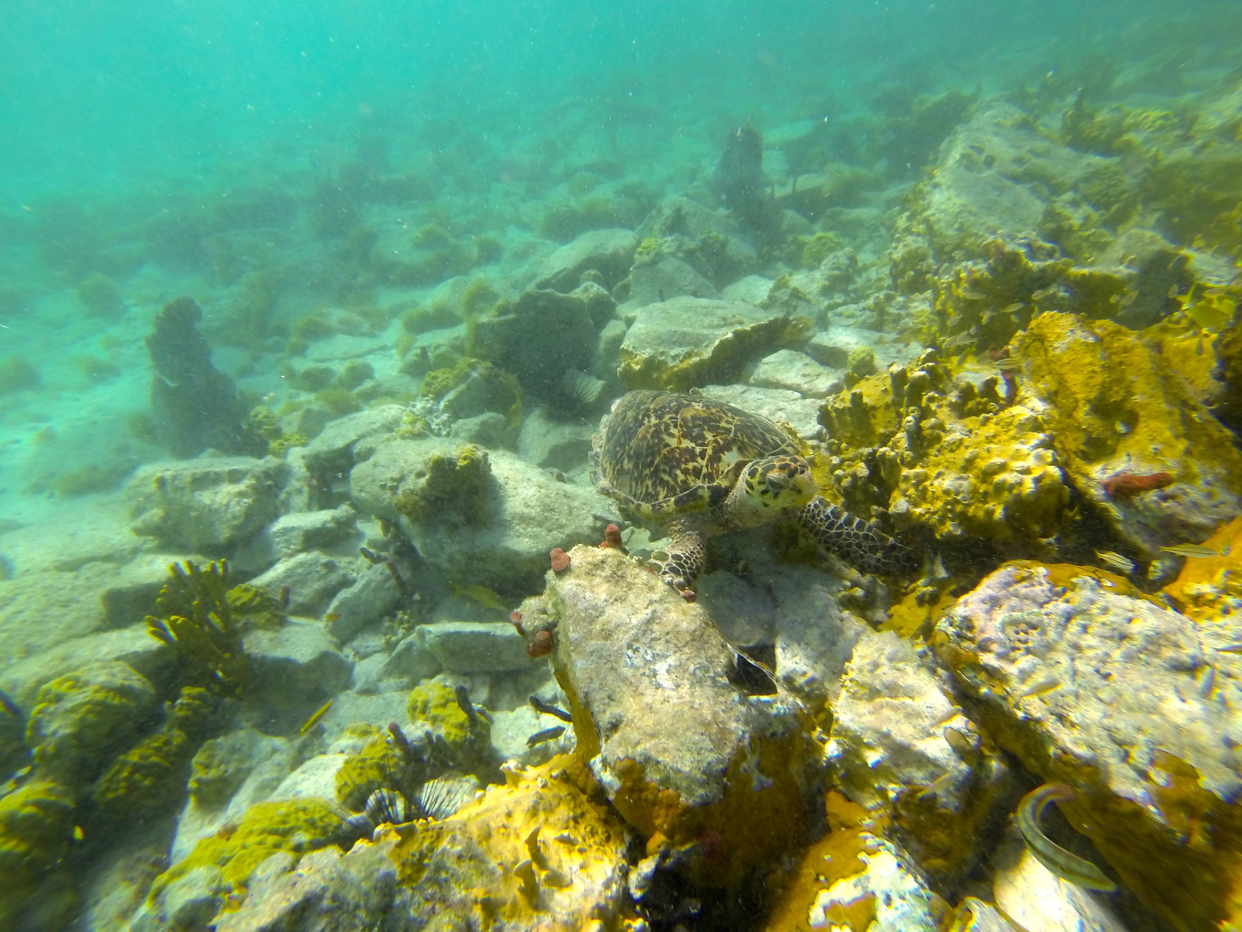
Watching an endangered hawksbill turtle eating the crap out of some fire coral (which, by the way, is painful to human skin but apparently not turtle’s mouths).
1–2 minutes
Watching an endangered hawksbill turtle eating the crap out of some fire coral (which, by the way, is painful to human skin but apparently not turtle’s mouths).
Leave a comment